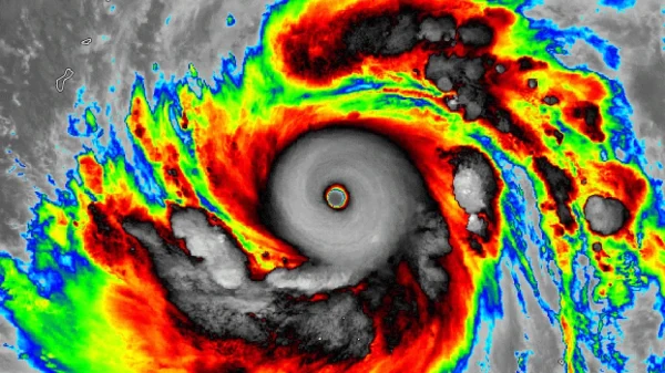
gió giật hủy diệt tới 350km/h

Menu