Ô nhiễm không khí tại Đông Nam Á được cho là nguyên nhân khiến các cơn bão xuất hiện với tần suất và cường độ ngày càng dữ dội trong khu vực này.
Nghiên cứu của Đại học Công nghệ Nanyang (Singapore) đã phân tích dữ liệu vệ tinh và thời tiết trong 10 năm qua trên khắp Đông Nam Á. Kết quả cho thấy ô nhiễm không khí khiến các cơn bão trở nên dữ dội hơn bằng cách làm tăng số lượng hạt mà hơi nước có thể ngưng tụ.

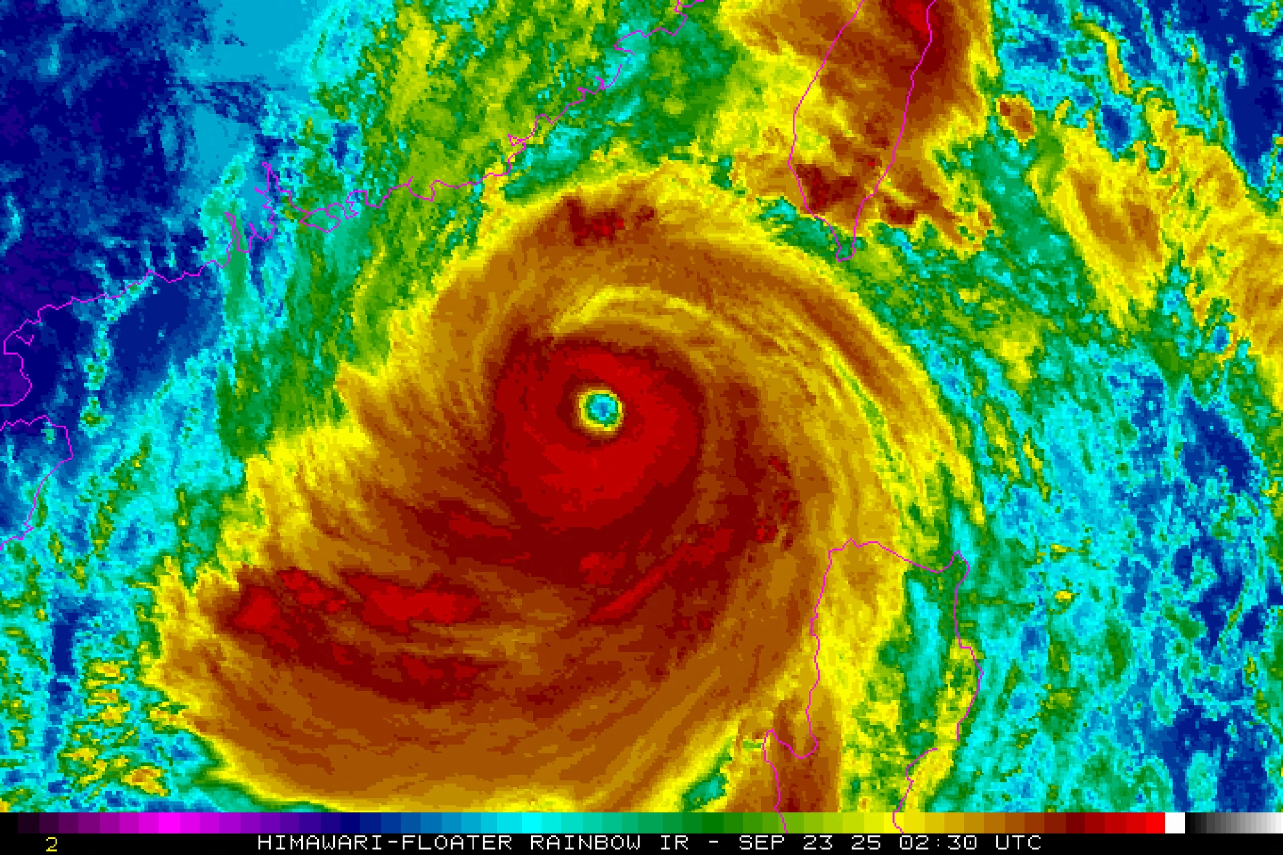
Siêu bão Ragasa, hình thành từ áp thấp nhiệt đới phía Đông Philippines hôm 17/9, là cơn bão mạnh nhất thế giới kể từ đầu năm 2025 (Ảnh: AFP)
Ngoài ra, nghiên cứu còn nhận thấy rằng ô nhiễm không khí khiến các cơn bão nhiệt đới trở nên nguy hiểm hơn do làm gia tăng đến 27% lượng sét. Các nhà nghiên cứu cũng phát hiện những cơn bão hình thành trong điều kiện ô nhiễm có phạm vi ảnh hưởng rộng hơn, với diện tích lan rộng gần như tăng gấp đôi.







