Mạng lưới tàu điện ngầm tại Thâm Quyến ngừng hoạt động
Toàn bộ mạng lưới tàu điện ngầm tại thành phố Thâm Quyến, miền Nam Trung Quốc sẽ tạm dừng hoạt động bắt đầu từ tối 23/9, với chuyến tàu cuối cùng của mỗi tuyến khởi hành từ ga đầu tiên và ga cuối cùng lúc 18h.
“Tàu điện ngầm Thâm Quyến sẽ tăng công suất tối đa cho tất cả các tuyến trong toàn mạng lưới, bắt đầu từ 12h trưa nay. Người dân và hành khách được yêu cầu lên kế hoạch di chuyển trước và di chuyển một cách trật tự” , tờ CNA dẫn lời nhà điều hành tàu điện ngầm tại Thâm Quyến đưa tin.
Bão Ragasa bắt đầu ảnh hưởng đến miền đông Quảng Đông
Đài quan sát Hong Kong cho biết tính đến 12h20 trưa, dải mưa bên ngoài của siêu bão Ragasa bắt đầu ảnh hưởng đến miền Đông Quảng Đông. Các dải mưa này có khả năng tạo ra những trận mưa lớn và gió mạnh cũng như lốc xoáy.
Bão Ragasa có lưu thông rộng với gió mạnh, gây ra mối đe dọa nghiêm trọng cho bờ biển Quảng Đông. Vào buổi trưa, cơn bão ước tính cách Hong Kong khoảng 420km về phía Đông Nam.
Cơn bão này dự kiến di chuyển theo hướng Tây – Tây Bắc với tốc độ khoảng 22 km/h qua phía bắc Biển Đông và dần tiến gần đến bờ biển Quảng Đông. Hong Kong có ý định nâng cảnh báo bão lên cấp 8 vào lúc 14h20 (giờ địa phương).

Nhiều chủ cửa hàng ở khu phố Wan Chai của Hong Kong đã đóng cửa hàng và bảo vệ đồ đạc trước siêu bão Ragasa. (Ảnh: CNA)
Nhiều chuyến bay đến Hong Kong bị hủy
Hãng hàng không Hong Kong Cathay Pacific cảnh báo về tác động “đáng kể” đến hoạt động của hãng khi quyết định hủy hơn 500 chuyến bay do ảnh hưởng của bão Ragasa. Cụ thể, tất cả chuyến bay đến và đi từ 18h ngày 23/9 đến 6h ngày 25/9 đã bị hủy.
Tính đến thời điểm hiện tại, Singapore Airlines hủy 12 chuyến bay đến và đi từ Hong Kong. Hai chuyến bay khác đến và đi từ Thâm Quyến cũng bị hủy.
“Do tình hình vẫn còn phức tạp, các chuyến bay khác của SIA có thể bị ảnh hưởng”, Singapore Airlines cho biết.
Ước tính vị trí và đường đi của bão

(Nguồn: Zoom Earth)

Hình ảnh cơn bão nhìn từ trạm vũ trụ quốc tế ISS. (Ảnh: Reuters)
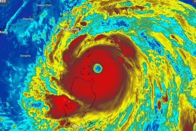
Ảnh vệ tinh cho thấy quy mô cơn bão lớn nhất trong năm


Tờ Independent ghi hình trực tiếp ảnh hưởng và đường đi của bão Ragasa
Bão Ragasa, cơn bão mạnh nhất được ghi nhận trong năm nay, vừa đi qua Philippines trong khi các khu vực Trung Quốc (bao gồm Hong Kong và Đài Loan) trong tình trạng báo động cao.
Siêu bão với sức gió được ghi nhận lên tới 270km/h đã đổ bộ vào các đảo Philippines vào thứ Hai (22/9), khiến hàng chục nghìn người phải sơ tán.
Bão Ragasa đang tiến về Trung Quốc sau khi tàn phá Philippines
Siêu bão Ragasa dự kiến sẽ sớm quét qua phía nam Hong Kong và Ma Cao sau khi tấn công Philippines với sức gió lên tới 270 km/h, buộc hàng nghìn người phải sơ tán.
Bão đổ bộ Philippines
Các nhà dự báo đã đưa ra cảnh báo về “nguy cơ cao gây ra sóng thần đe dọa tính mạng” với sóng cao hơn ba mét khi bão quét qua.
Các quan chức cảnh báo rằng Ragasa có thể gây ra lũ lụt trên diện rộng, lở đất và thiệt hại lớn cho nhà cửa và cơ sở hạ tầng tại các khu vực bị ảnh hưởng. Chính quyền kêu gọi người dân tích trữ nhu yếu phẩm khẩn cấp, gia cố cửa ra vào và cửa sổ, đồng thời sơ tán khỏi các khu vực dưới lòng đất.
Mặc dù sân bay Hong Kong dự kiến vẫn mở cửa, nhưng cơ quan quản lý sân bay của thành phố cho biết các chuyến bay sẽ giảm đáng kể sau 6 giờ chiều thứ Ba và hầu hết các hoạt động bay sẽ bị ảnh hưởng vào thứ Tư.
Tất cả trường học ở Hong Kong và Macao sẽ đóng cửa trong hai ngày tới. Số lượng bao cát đã được cung cấp cho các khu vực dễ bị ngập lụt ở Hong Kong nhiều hơn bình thường, trong khi cảnh sát Macao kêu gọi người dân sống ở các vùng trũng thấp chuẩn bị cho việc sơ tán có thể xảy ra.
Ragasa cũng dự kiến sẽ mang theo mưa xối xả và gió mạnh đến các khu vực ven biển lục địa của Trung Quốc, bắt đầu từ thứ Ba. Nhiều thành phố như Giang Môn, Dương Giang, Trung Sơn và Chu Hải ở phía nam tỉnh Quảng Đông đã ra lệnh đóng cửa trường học, văn phòng, nhà máy và phương tiện giao thông.
Cơ quan thời tiết Trung Quốc cho biết cơn bão có thể đổ bộ vào Quảng Đông nhiều lần.







