Thái Bình Dương đang phải đối mặt với một trong những cơn cuồng phong dữ dội nhất lịch sử vào thời điểm tháng 4 khi siêu bão Sinlaku liên tục tăng cấp thần tốc. Tính đến ngày 13 tháng 4 năm 2026, Sinlaku đã chính thức trở thành cơn bão mạnh nhất hành tinh trong năm nay với sức gió duy trì tối đa lên tới 291 km/h, tương đương cấp 5 trong thang bão Saffir-Simpson.
Đây là một hiện tượng khí tượng hiếm gặp bởi thông thường mùa bão tại Đại Tây Dương và Trung Thái Bình Dương phải đến ngày 1 tháng 6 mới bắt đầu. Hiện tại, các cơ quan khí tượng đang đặt khu vực đảo Guam và quần đảo Bắc Mariana vào trạng thái báo động cao nhất trước sự càn quét của cơn bão khốc liệt này.
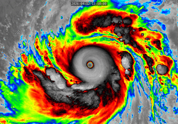
Theo báo cáo mới nhất từ Trung tâm Cảnh báo Bão Liên hợp (JTWC), siêu bão Sinlaku sở hữu sức gió giật kinh hoàng lên đến 350 km/h cùng áp suất trung tâm giảm sâu xuống mức 902 hPa. Quỹ đạo của bão hiện không có nhiều thay đổi so với các dự báo ban đầu khi nó đang di chuyển theo hướng tây bắc với tốc độ ổn định.

Ảnh vệ tinh mắt bão vào ngày 12/4
Dự kiến tâm bão sẽ đi cách đảo Guam khoảng 150 km về phía đông bắc vào khoảng thứ Năm (16/4) tới, sau đó quét qua rất gần hoặc đổ bộ trực tiếp vào các đảo Tinian và Saipan trong vòng 36 giờ tới. Dù không đổ bộ vào đất liền các châu lục lớn nhưng sức ảnh hưởng của bão trên diện rộng là cực kỳ nguy hiểm với sóng lớn, mưa xối xả và gió giật mạnh bao trùm toàn bộ quần đảo Bắc Mariana.
Về mặt hành chính, Guam là một lãnh thổ hải ngoại riêng biệt của Mỹ, trong khi Tinian và Saipan thuộc khối thịnh vượng chung Bắc Mariana, nơi cư dân đều là công dân Mỹ. Trước diễn biến phức tạp của thiên tai, chính quyền các đảo đã nhanh chóng triển khai các biện pháp ứng phó khẩn cấp.
Các chuyên gia dự báo sức gió có thể giảm nhẹ từ mức 260 km/h khi ở phía đông Guam xuống còn khoảng 230 km/h khi tiến gần Saipan. Trong khoảng 3 đến 5 ngày tới, bão có xu hướng suy yếu dần do nhiệt độ mặt nước biển giảm xuống dưới 26 độ C và sự xâm nhập của không khí khô, tuy nhiên mức độ tàn phá trong giai đoạn đạt đỉnh vẫn là mối đe dọa hàng đầu đối với hạ tầng khu vực.
Tác động của siêu bão Sinlaku đã khiến mạng lưới hàng không tại Tây Bắc Thái Bình Dương tê liệt hoàn toàn. Một loạt các hãng hàng không lớn bao gồm United Airlines, Philippine Airlines, Hong Kong Airlines và T’Way Air đã đồng loạt thông báo hủy toàn bộ các chuyến bay đến đảo Saipan và Guam cho đến giữa tuần.
Các hoạt động giao thương trên biển cũng bị đình chỉ để đảm bảo an toàn. Đối với khu vực Đông Nam Á, các mô hình dự báo hiện tại cho thấy bão Sinlaku ít có khả năng đi vào Biển Đông. Tuy nhiên, du khách có kế hoạch di chuyển đến Philippines hoặc các đảo lân cận trong thời gian này được khuyến cáo phải theo dõi sát sao các bản tin thời tiết để chủ động điều chỉnh lịch trình phù hợp nhằm tránh những rủi ro đáng tiếc về tính mạng và tài sản.
Nguồn: The New York Times





